Управление ЖКХ города Пензы информирует автомобилистов о временных ограничениях движения.
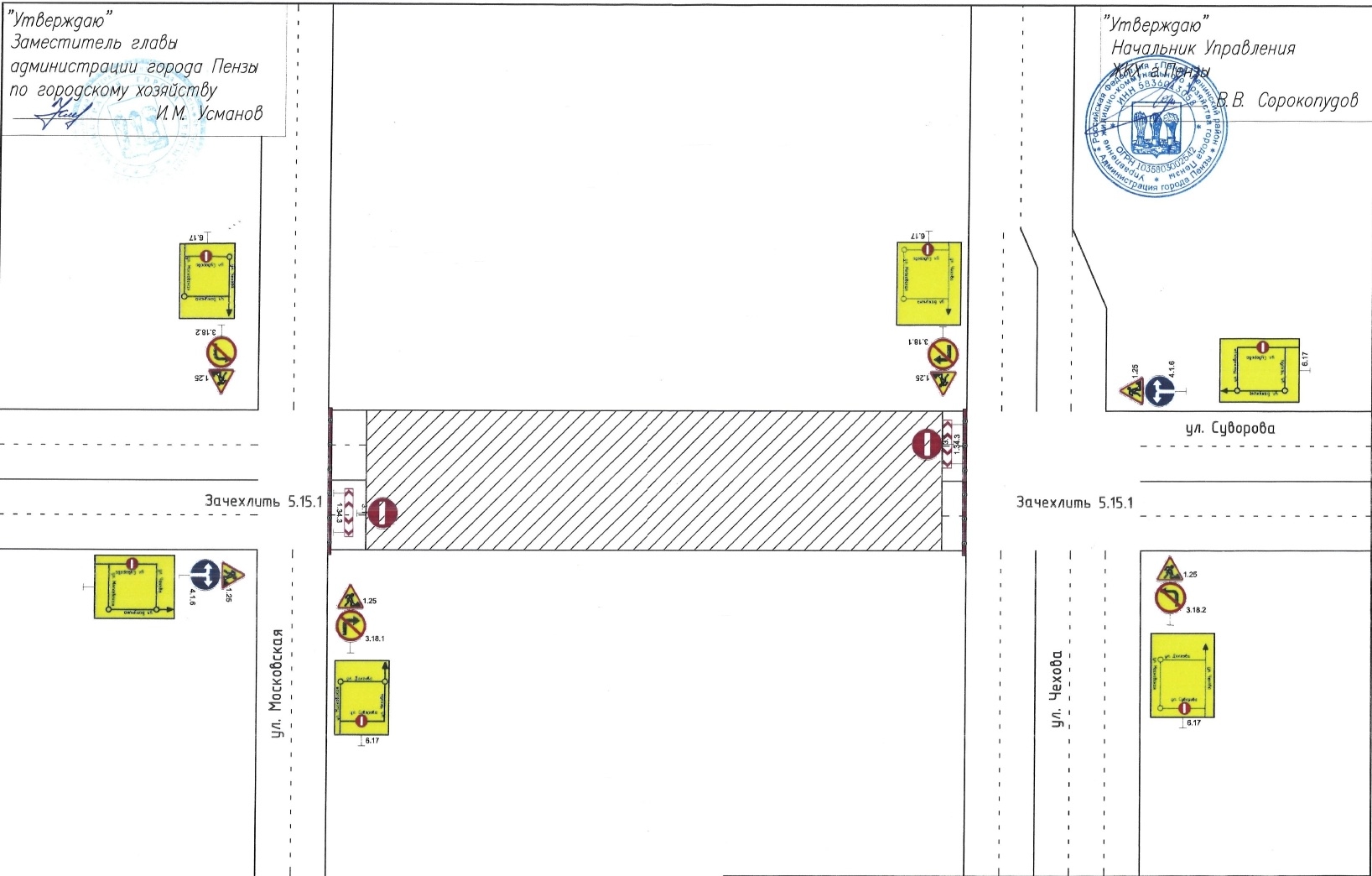
В связи с переустройством сетей водопровода и канализации будет закрыт для транспорта участок улицы Суворова. Речь идет об участке дороги от пересечения с улицей Московской до пересечения с улицей Чехова.
Ограничения введут с 20:00 19 сентября. Запланировано, что их снимут в 20:00 24 сентября.
Жителей и гостей города просят учитывать временные неудобства при планировании маршрутов.

